Skip to main content Skip to footer

City Celebrates Groundbreaking at Harbour West Development at Former BCK Site

Construction has officially begun on ‘Harbour West’, a major new housing development that will bring 224 rental apartments to Owen Sound’s west waterfront area.  The groundbreaking ceremony marks an exciting new chapter for the former Black Clawson Kennedy (BCK) property at 1144 1st Avenue West.

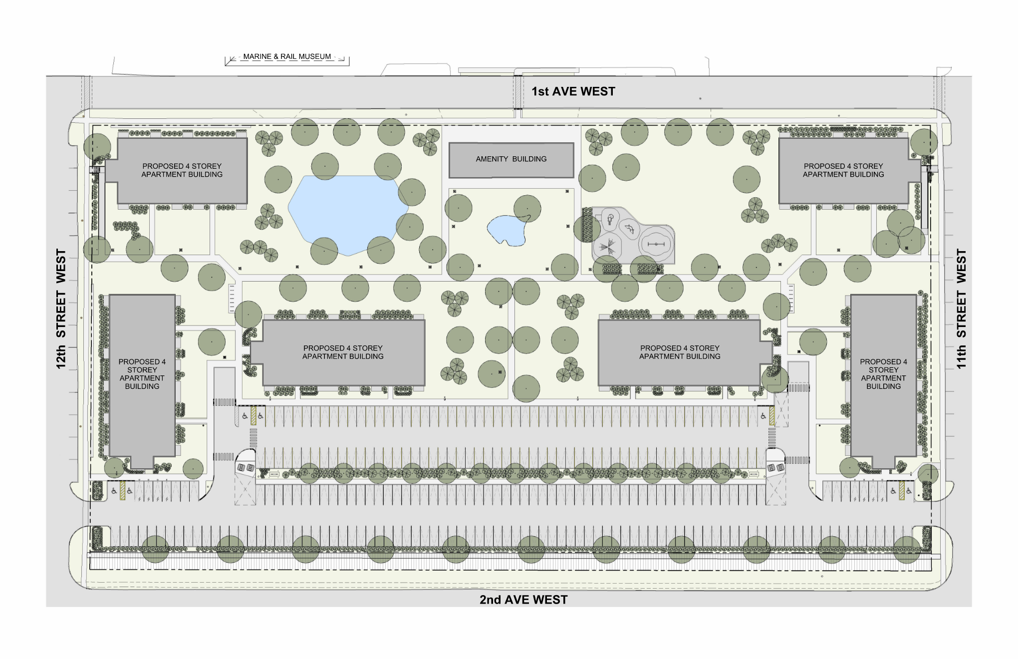
The Harbour West project, led by Hansa Financial & Property Management, will transform the long-vacant waterfront site into a six-building residential space featuring 224 rental apartments. Site preparation is underway, including the crushing of existing concrete for reuse on site, as well as groundwork for piling and foundation. The first tenants are anticipated to move in by Fall 2026.

The 1st Avenue West property holds deep historical significance for the community. Once home to the Black Clawson Kennedy (BCK) operation, the facility manufactured machinery and cast marine propellers during World War II. Following its closure in 1996, the property saw multiple redevelopment proposals that did not move forward.

The Harbour West development represents one of the largest residential investments in the City in recent decades and supports local goals for housing growth and downtown revitalization.  The project certainly contributes to the City’s record-breaking year of construction values.

Construction activity will continue on-site over the coming months as foundation work begins. For updates on this and other major development projects in Owen Sound, visit www.owensound.ca/development.

 

For more information, please contact Tim Simmonds, City Manager at 519-376-4440 ext. 1210 or email tsimmonds@owensound.ca

 

Quotes:

“This groundbreaking represents more than the start of construction – it symbolizes progress, investment, and much-needed housing opportunities for our community.”

-      Mayor Ian Boddy

 

Quick Facts:

  • A building development housing 224 rental suites (six buildings) is currently beginning construction at 1144 1st Avenue West.
  • Total Construction value of the full project is $45,000,000.
  • 10% of the Harbour West development residential units will be affordable housing units.

 

Pictured below from left to right are:
Geoff McMurdo, Kingsley Management; Tim Simmonds, City Manager, Owen Sound; Ian Boddy, Mayor, Owen Sound; Martin Kiener, Hansa Financial; Al Way, Kingsley Management; Erin Way, Kingsley Management; Christopher Kiener, Hansa Financial; Scott Greig, Deputy Mayor, Owen Sound.

 

-30-

Sign up for City news to your inbox!

Stay up to date on the city's activities, events, programs and operations by subscribing to our news posts.

This website uses cookies to enhance usability and provide you with a more personal experience. By using this website, you agree to our use of cookies as explained in our Privacy Policy.